滞在記 第3日目
(2006年4月23日)
注) 1US$(アメリカ・ドル)=約120円。
6時30分に目覚ましをセットしたものの、7時20分まで二度寝。昨日の 疲れがまだ抜けていない。何とか起きてシャワールームへ。
今日の午前中はカハルウ・ビーチ・パークへ。ハワイ島では有名な ローカル・ビーチ。
途中渋滞に巻き込まれながらも9時にビーチ着。更衣室があるって聞いてたけど、 周りを見回してもそれらしい建物はなし。海パン履いてきて正解!  天気は今日も朝から、ドドドドドドドドド・ド・ド・ド・ド、ドピ〜〜カ〜ン!!
海に入る前に岩場を見ると、何やら動く岩が・・・。あっ、海ガメだ!  岩に付いたコケを一心不乱に食べています。
水中から見るとこんな感じ。触ろうと思えばすぐに触れる距離まで近づくことは 可能ですが、決して触れてはいけません!! 上も含めて、写真はデジカメの 望遠を使って撮影しました。念のため。
水中には色鮮やかな熱帯魚が「これでもか〜」ってくらい泳いでます。 シュノーケリングには絶好のポイント。残念ながら光の関係で、写真は キレイに撮れていませんでした。(涙)
この時期のハワイ島は涼しい! 朝晩は半袖では涼しいくらいで、寝る時も 毛布を掛けないと寒い。海の水も結構冷たく、長い時間入っていると 寒くなってきます。当初は2時間くらい潜るつもりでしたが、1時間 そこそこで撤収。
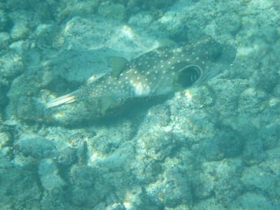
写真は大きなフグ。旨そう〜!(笑)
帰りにセーフウェイで買い物。場所はカイルア・コナの クロスロード・ショッピングセンター内。このスーパーマーケットは、 他に比べると若干高級志向。売られている惣菜の数も豊富。マグロ、チキン、 玉子サラダ、人参サラダ、巻き寿司などを購入。もちろんローカル・ビールも!  ホテルの部屋でゆっくり食べました。
14:00にレンタカーを返却。残り1日半はホテル内でのんびりすることに。
まず行ったのがキングス・ポンド。天然の溶岩を利用して作られた、海水と 淡水が混ざり合ったプール。中には3000匹の熱帯魚が放たれています。 ジャグジー(写真手前)も併設されています。
実際は凄くキレイなのですが、ここも光の加減のせいか、写真がうまく 撮れませんでした。(涙)
宿泊者はプールサイドでシュノーケルセットを無料で借りられます。 右の写真に写っているのはエイ。餌付けも出来ます(時間指定・要予約)。
プールを出て真ん前のプライベート・ビーチの砂浜を見ると、ナント 海ガメが3匹もいるではあ〜りませんか! 気持ち良さそうに甲羅干ししてます。
傍らに立っている看板には、乱獲で数が激減しているため絶対に触らないこと。 もし捕獲した者は、懲役1年以上またはUS$50000以上の罰金に処すと 書かれていました。
その後、隣のコナ・ビレッジ・リゾートへ。敷地内に保存されているペトログリフを 見に行くためだ。海岸沿いを歩いていると、ここにも4匹の海ガメが。 こんなに、しかも人が沢山いる海岸に上がってくるとは驚き。
ペトログリフとは、ペトロ(石、岩)とグリフ(彫刻)を組み合わせたギリシャ語。 文字を持たなかった古代ハワイの人々が描いた絵(象形文字?)で、おそらく 数百年前のものと推定されています。ペトログリフはハワイ島だけではなく、 世界中で見ることが出来ます。以前行ったイースター島でも同様のものを見ました。
木道で囲われている中央部分に沢山のペトログリフが残されています。
左:装飾が施されたヘルメットを着用している人物。キャプテン・クック?
右:右腕だけが2.7mもある? これは竿を使って釣りをしている様子を 描いたもの。
三角やナイフの刃先のように描かれているのは、大小様々な形をした帆。
左:人物が2人描かれています。
右:右側に描かれているのは大きな帆。左の穴が沢山並んでいるのは(?)。 解説がありませんでした。
ジャングル・ジムを上から見たような、四角に複雑な斜め線が 沢山入っているのは網。写真中央は、網で海ガメを捕獲した様子。 これとほぼ同じ図が、タヒチのボラボラ島にも残されているそうです。 同じ民族である証拠ですね。
ホテルまで歩いて戻りビーチ・バーへ。ようやくリゾート・ホテルへ 来たって感じ。(笑)
左:スムージーとジン・トニックとローカル・ドラフト・ビール。 おつまみに出てきたのは、ワサビ味のフライド・ビーンと枝豆!  白人のおじさんがバーテンダーに「こりゃ何だい?」って訊いてました。 全部でチップ込みUS$30。
背中や鼻先に赤い模様(ちょっと南国的?)があるトカゲがチョロチョロっと 出てきます。大きさは10cmくらい。
夕食はホテル内のレストラン「ビーチ・ツリー・グリル」。生バンドの演奏も ありますが、曲目はなぜかハワイアンではなく、バラードやラブソングばかり。 新婚さんが多いからかな?!
8oz(約230グラム)ステーキとオニオン・リング&マッシュド・ポテト。 ブルー・チーズ味のソースが超〜〜〜美味!! 今回ハワイ島滞在中に食べた 料理の中で一番おいしかった。肉の柔らかさと焼き加減もGood!
マヒマヒのソテーとニョッキ。こちらも文句なしの◎。
メイン料理の値段には、サラダバー(サラダとデザートが食べ放題)の料金が 含まれています。写真はありませんが、サラダもタップリ頂きました!
スプライト×1とビール×1も注文して、御会計はチップ込みUS$106.15。
夜のリゾートをブラブラ。こちらはシー・シェル・プール。子供用プールも 併設されています。
ライトアップされた波打ち際とビーチ・バー。
左:メイン・プール。
右:今回宿泊した3103号室。部屋番号の上に描かれているのは椰子の木ですが、 これはエリアによってアンモナイトやボートのオールなどに変わります。
リゾート内の各所には大型のアイス・マシンが設置されています。 いつものように大量の氷を持ってきて、洗面台でビールやジュースを冷やしました。 部屋の中には冷蔵庫がありますが、こちらの方が早く飲み頃になります!



滞在記 第4日目へ進む